Bebauungsplan „Igelsdorf” - 1. Änderung
Bebauungsplan und weitere Informationen
Planentwurf zur 1. BBP-Änderung "Igelsdorf" (Stand 09.12.2025) (PDF)
Textliche Festsetzung zur 1. BBP-Änderung "Igelsdorf" (Stand 09.12.2025) (PDF)
Begründung zur 1. BBP-Änderung "Igelsdorf" (PDF)
Baugutachten komplett mit Anlagen (PDF)
Eingegangene Stellungnahme Bürger 1. Änderung BBP Igelsdorf - Auslegung nach § 13a Abs. 3 Nr. 2 BauGB (PDF)
Abwägung der eingegangenen Stellungnahme 1. Änderung BBP Igelsdorf (PDF)
Bekanntmachung über die Veröffentlichung (vorm. öffentliche Auslegung) gemäß § 3 Abs. 2 BauGB zum Entwurf der Bebauungsplan-Änderung Igelsdorf im Verfahren nach § 13 a BauGB – Bebauungspläne der Innenentwicklung
Der Stadtrat der Stadt Baiersdorf hat am 18.09.2025 beschlossen, für einen innerörtlichen Bereich den Bebauungsplan (BBP) „Igelsdorf“ zu ändern. Die 3 Änderungsbereiche liegen im Umgriff des aus dem Jahr 1961 stammenden Bebauungsplanes Igelsdorf.
Über einen Vorentwurf zur Planung konnte sich die Bürgerschaft bereits im Rahmen der frühzeitigen Beteiligung informieren. Die in diesem Zuge eingegangenen Stellungnahmen und Anregungen wurden ausgewertet und die Planung entsprechend fortgeschrieben.
Das geplante Baugebiet liegt im zentralen Ortsbereich des Stadtteils Igelsdorf im Umgriff der Siedler- und Neuweiherstraße.
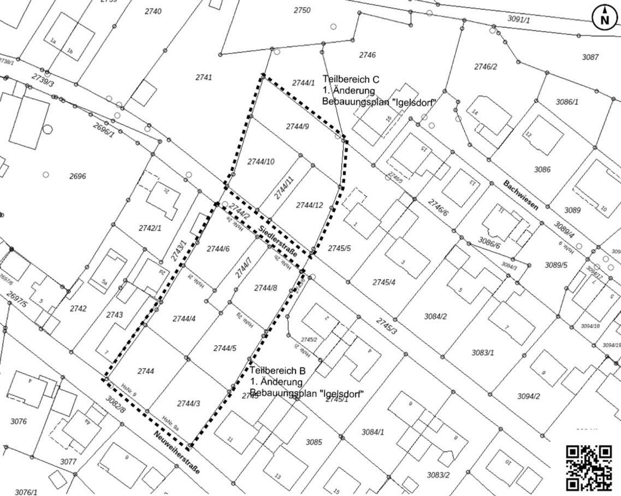
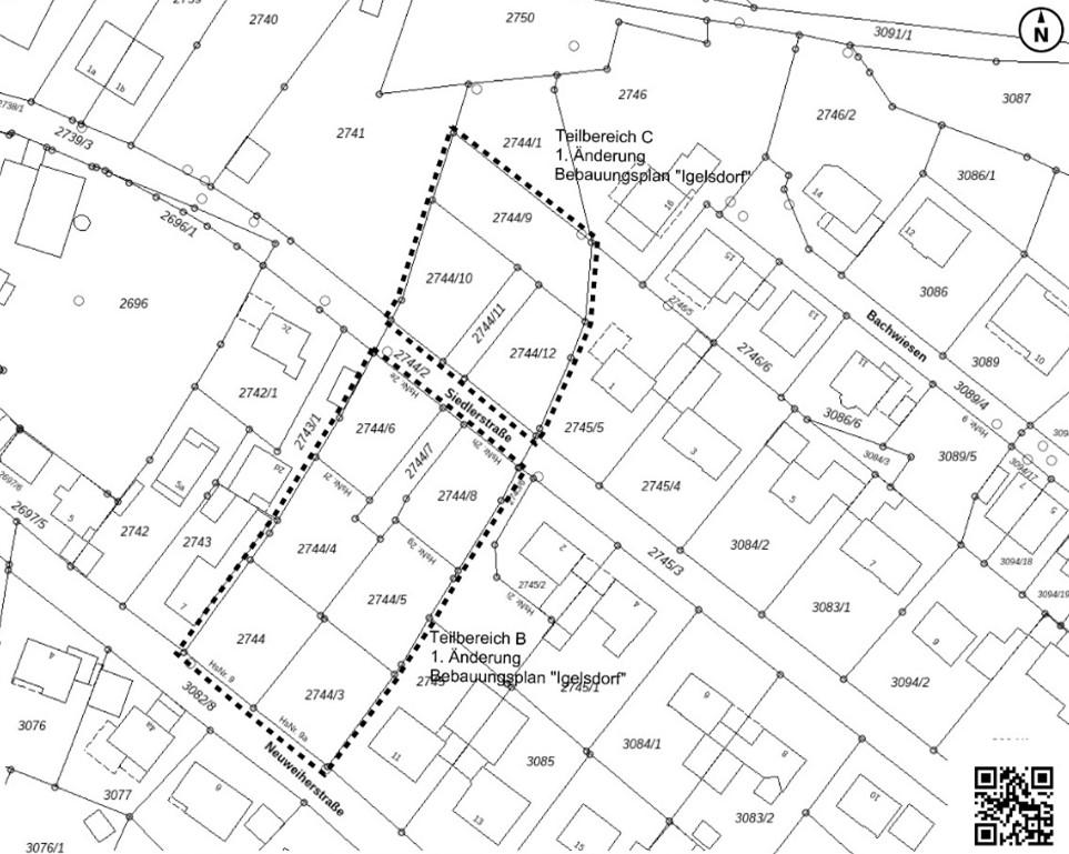
Der Geltungsbereich der aufliegenden Bebauungsplan-Änderung umfasst 3 Teilbereiche. Diese werden wie folgt begrenzt:
Teilbereich B – 1. BBP-Änderung (Gelber Bereich):
im Norden: durch die Flur-Nr. 2744/2 (Siedlerstraße), Gemarkung Baiersdorf
im Osten: durch die Flur-Nrn. 2745 und 2745/6, Gemarkung Baiersdorf
im Süden: durch die Flur-Nr. 3082/8 (Neuweiherstraße), Gemarkung Baiersdorf
im Westen: durch Flur-Nrn. 2743 und 2743/1, Gemarkung Baiersdorf
Teilbereich C – 1. BBP-Änderung (Gelber Bereich):
im Norden: durch die Flur-Nr. 2744/1, Gemarkung Baiersdorf
im Osten: durch die Flur-Nr. 2745/5 und 2746, Gemarkung Baiersdorf
im Süden: durch die Flur-Nrn. 2744/2 (Siedlerstraße), Gemarkung Baiersdorf
im Westen: durch Flur-Nrn. 2741, Gemarkung Baiersdorf
Teilbereich D – 1. BBP-Änderung (Gelber Bereich):
im Norden: durch die Flur-Nr. 3098, Gemarkung Baiersdorf
im Osten: durch die Flur-Nr. 3097/2 (Abfluss Neuweiher) und 3104, Gemarkung Baiersdorf
im Süden: durch die Flur-Nrn. 1992 (Neuweiherstraße) und 3104, Gemarkung Baiersdorf
im Westen: durch Flur-Nrn. 3099/7, 3102/1, 3102/2 und 3102/3, Gemarkung Baiersdorf
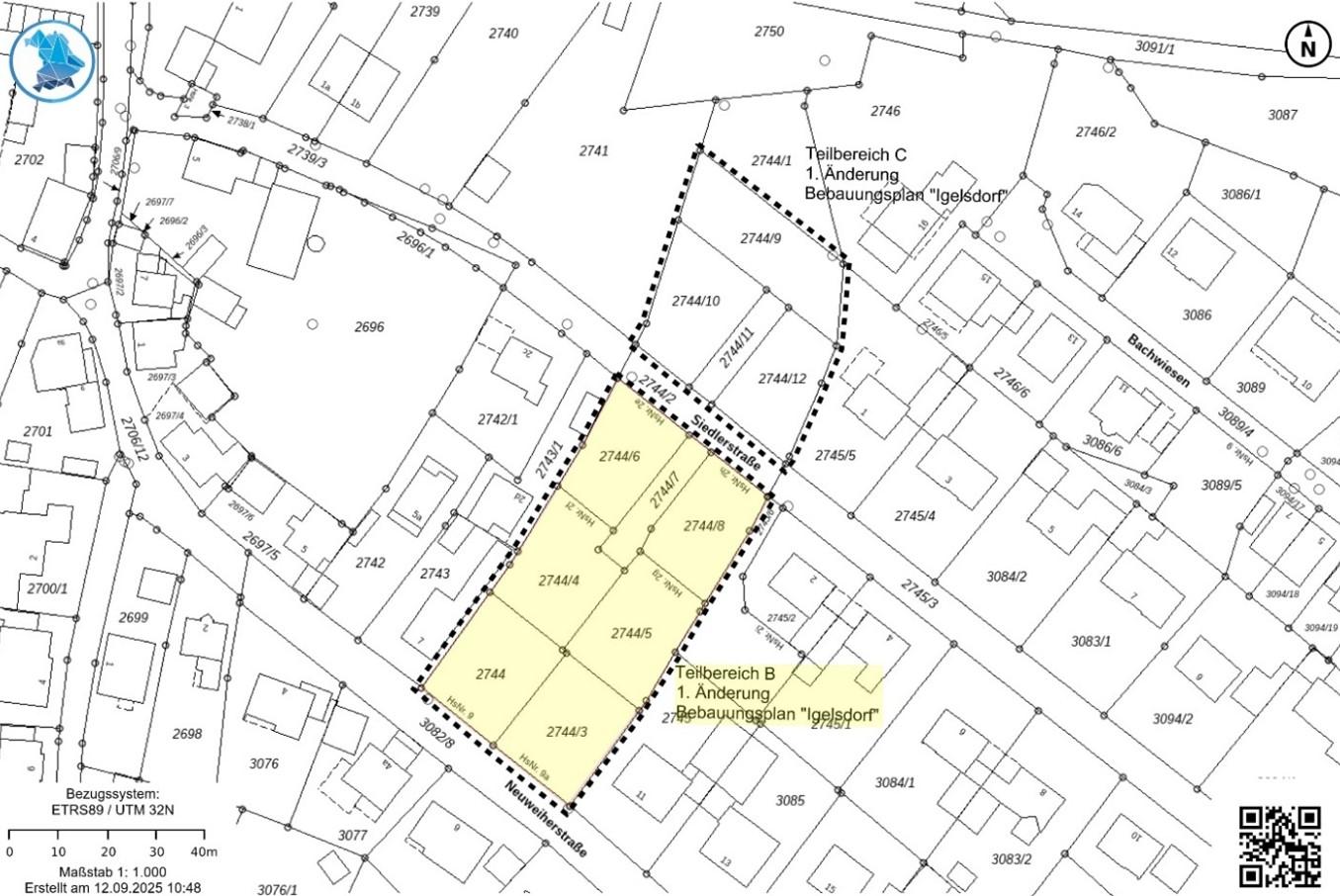
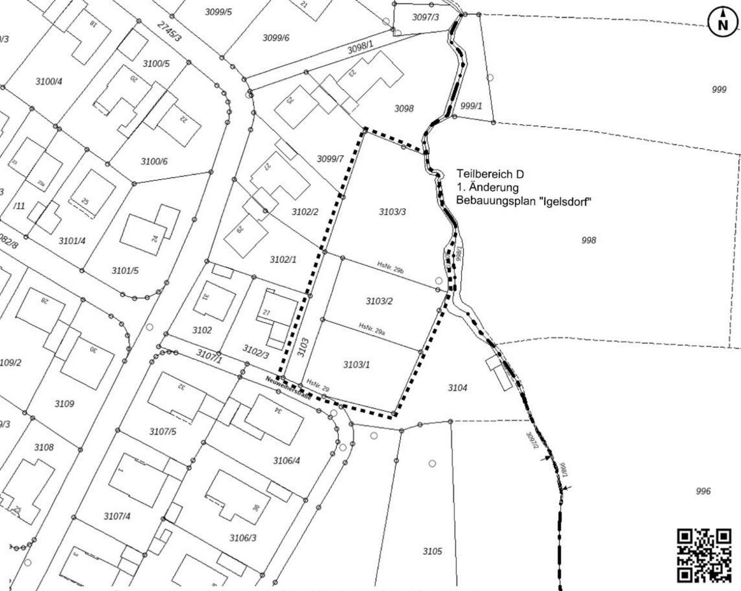
Die Geltungsbereiche umfassen dabei folgende Grundstücke und haben nachfolgend aufgeführte Größen (Abb. 8-10: Auszug Kataster BayernAtlas mit Geltungsbereich aufliegender BBP-Änderung = gelbe Flächen und Abgrenzung = schwarze Umrandung):
für den Teilbereich B (Abb.: 8):
die Flur-Nrn. 2744, 2744/3, 2744/4, 2744/5, 2744/6, 2744/7 und 2744/8 der Gemarkung Baiersdorf mit einer Fläche von 0,2889 ha.
für den Teilbereich C (Abb.: 9):
die Flur-Nrn. 2744/9, 2744/10, 2744/11 und 2744/12 der Gemarkung Baiersdorf mit einer Fläche von 0,1565 ha.
und für den Teilbereich D (Abb.: 10):
die Flur-Nrn. 3103, 3103/1, 3103/2 und 3103/3 der Gemarkung Baiersdorf mit einer Fläche von 0,2751 ha.
und weisen einen Gesamtgeltungsbereich von 0,7607 ha auf.
Ein Planvorentwurf ist von der Planergemeinschaft Ingenieurbüro Schönfelder IBS, Bischberg, und dem Büro arc.grün, Kitzingen, ausgearbeitet und vom Bau- und Umweltausschuss am 14.10.2025 zustimmend beschlossen worden. Danach wurde im Zeitraum vom 03.11.2025 bis zum 21.11.2025 die Bürgerschaft frühzeitig über die Planung informiert.
Die eingegangenen Anregungen wurden im Bau- und Umweltausschuss der Stadt Baiersdorf am 09.12.2025 ausgewertet und ein von der Planergemeinschaft fortgeschriebener Entwurf zur 1. Bebauungsplan-Änderung „Igelsdorf“ gebilligt.
Der Planvorentwurf kann gemäß § 3 Abs 2 BauGB in der Zeit vom
8. Januar 2026 bis 9. Februar 2026
eingesehen werden.
Zusätzlich zur Veröffentlichung im Internet liegen die genannten Unterlagen im Rathaus der Stadt Baiersdorf (Waaggasse 2) während der üblichen Öffnungszeiten oder nach Vereinbarung im Foyer (EG) öffentlich aus.
Innerhalb der Frist können Stellungnahmen, vorzugsweise per E-Mail an Stadtplanungsamt(@)baiersdorf.de, aber auch schriftlich oder während der Dienststunden zur Niederschrift – abgegeben werden.
Folgende Arten umweltbezogener Informationen sind verfügbar und werden mit ausgelegt:
Begründung zum Bebauungsplan der Planergemeinschaft mit Angaben zur Bodenbeschaffenheit, Erläuterungen zu den grünordnerischen Festsetzungen, Angaben zur Erschließung sowie Erläuterungen zum Immissionsschutz
- Kapitel 2.2 Baugrund
- Kapitel 4 Vorgesehene Erschließung, Wasserversorgung sowie Abwasserbeseitigung
- Kapitel 5 Umweltbelange und grünordnerische Festsetzungen
- Kapitel 6 Immissionsschutz – Ausführungen zu erwartenden Emissionen von Wärmepumpen
Dokument zur „artenschutzrechtlichen umweltbezogenen Relevanzprüfung“ vom Büro ArGe Naturschutz und Landschaftspflege GbR, Heroldsbach, GmbH vom 18.11.2025 als Anlage zum Bebauungs- und Grünordnungsplan mit Angaben zu Kartierungen vor Ort und zur Betroffenheit schützenswerter Arten
- Anlass und Vorgehensweise
- Ergebnisse der Gebäudekontrolle
- Darlegung der betroffenen Arten
- Gutachterliches Fazit
Datenschutz: Die Verarbeitung personengebundener Daten erfolgt auf Grundlage von Art. 6 Abs. 1 Buchstabe e (DSGVO) i. V. mit § 3 BauGB und dem BayDSG. Sofern Stellungnahmen ohne Absendeangaben abgegeben werden, ergeht keine Mitteilung über das Ergebnis der Prüfung. Weiter Informationen können dem Formblatt „Datenschutzrechtliche Informationspflichten im Bauleitplanverfahren“ entnommen werden, dass ebenfalls öffentlich ausliegt.
Stadt Baiersdorf, 31.12.2025
Eva Ehrhardt-Odörfer
Erste Bürgermeisterin
Bebauungsplan und weitere Informationen
Planteil zur 1. BBP-Änderung "Igelsdorf" (PDF)
Textliche Festsetzung zur 1. BBP-Änderung "Igelsdorf" (PDF)
Begründung zur 1. BBP-Änderung "Igelsdorf" (PDF)
Baugutachten (PDF)
Bekanntmachung Aufstellungsbeschluss 1. BBP-Änderung Igelsdorf & frühzeitige Beteiligung der Öffentlichkeit (§3 Abs. 1 BauGB) zum Vorentwurf des g. BBP im Verfahren nach § 13 a BauGB
Der Stadtrat der Stadt Baiersdorf hat am 18.09.2025 beschlossen, für 3 innerörtliche Bereiche den Bebauungsplan (BBP) Igelsdorf aus dem Jahr 1961 zu ändern.
Lageplan Geltungsbereiche B+C.jpg
Lageplan Geltungsbereiche D.jpg
Ein Planvorentwurf ist von der Planergemeinschaft Ingenieurbüro Schönfelder IBS, Bischberg, und dem Büro arc.grün, Kitzingen, ausgearbeitet und vom Stadtrat am 14.10.2025 zustimmend beschlossen worden.
Es kommt das Verfahren nach § 13a BauGB zur Anwendung. Dabei wird der Ablauf beschleunigt durchgeführt und auf die Erarbeitung von Umweltbericht und Eingriffs-/Ausgleichsermittlung ebenso wie auf eine frühzeitige Beteiligung der Behörden und sonstigen Trägern öffentlicher Belange verzichtet.
Der Planvorentwurf kann gemäß § 3 Abs. 1 BauGB (frühzeitige Beteiligung der Öffentlichkeit) in der Zeit vom 3. November 2025 bis 21. November 2025 eingesehen werden.
Zusätzlich zur Veröffentlichung hier liegen die genannten Unterlagen im Rathaus der Stadt Baiersdorf, Waaggasse 2, 91083 Baiersdorf, während der üblichen Öffnungszeiten oder nach Vereinbarung im Foyer (EG) öffentlich aus.
Innerhalb der o. g. Frist können Stellungnahmen – vorzugsweise per E-Mail an Stadtplanungsamt(@)baiersdorf.de aber auch schriftlich oder während der Dienststunden zur Niederschrift – abgegeben werden.
Datenschutz: Die Verarbeitung personengebundener Daten erfolgt auf Grundlage von Art. 6 Abs. 1 Buchstabe e (DSGVO) i. V. mit § 3 BauGB und dem BayDSG. Sofern Stellungnahmen ohne Absendeangaben abgegeben werden, ergeht keine Mitteilung über das Ergebnis der Prüfung. Weiter Informationen können dem Formblatt „Datenschutzrechtliche Informationspflichten im Bauleitplanverfahren“ entnommen werden, dass ebenfalls öffentlich ausliegt.
Stadt Baiersdorf, 31.10.2025
Eva Ehrhardt-Odörfer
Erste Bürgermeisterin